2
2
2
2
Noch eine Anmerkung: Als wir vom Bürgerverein Mündelheim bei diesen Planungsgesprächen dabei sein wollten, wurde uns das ver- wehrt und nun sollen / können wir diesen Vorschlag aus Skizze 1 nur noch akzeptieren? Das ist keine Zusammenarbeit bzw. Berücksichtigung der Interessen der direkt Betroffenen! Wir Mündelheimer sind enttäuscht, mal wieder, denn wir sollen ständig zum Gemeinwohl bzw. anderen über- regionalen Interessen z.B. die Deichrückverlegung, die CO-Pipeline, Windkraftanlagen, Fluglärm, Verkehrslärm, Feinstaub und andere Industriebelästigungen hinnehmen, aber wenn wir fordern ....!!!
Skizze 2
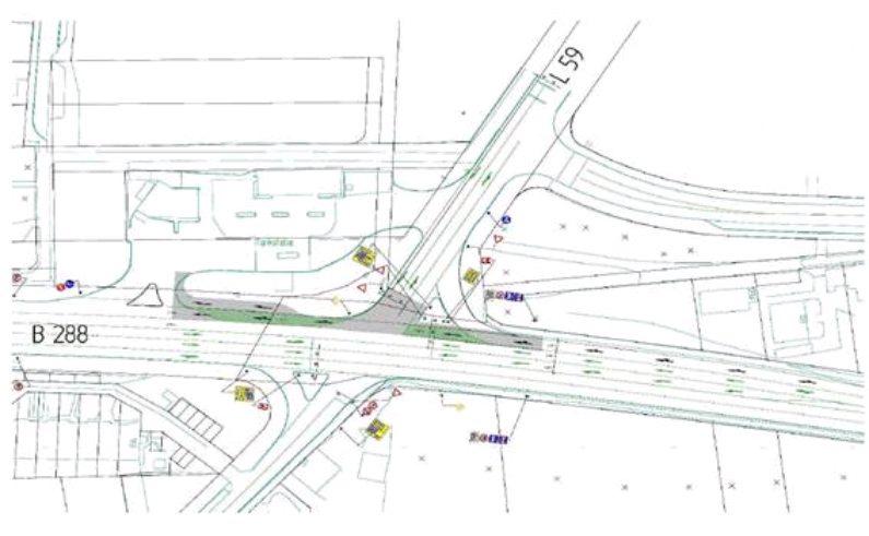
Skizze 1
Unser Gegenvorschlag ( siehe unten Skizze 2) wurde von StraßenNRW mit dem sinngemäß wiedergegebenen Hinweis zurückgewiesen: “ ...... die Idee aus Skizze 1 ist schon zwischen der Stadt Duisburg und StraßenNRW abgestimmt, eine Rechtsabbiegespurin die B288 besteht bereits! Die Spur daneben ist als Gerade- und Linksabbiegespur ausgewiesen, was nach den bisherigen Verkehrszahlen auch sinnvoll sei, da in der Morgen- und auch in der Abendspitze der Rechts- abbiegestrom stärker ist. Die Auflösung der Geradeaus- und Linksabbiegeströme durch die Errichtung einer weiteren Spur führt nach Erachten von StraßenNRW zu keiner signifikanten Verbesserung, da der Anteil der Geradeausfahrenden als gering eingeschätzt wird. Der Hauptanteil der Verkehrsteilnehmer fährt links in die B288 ein.” (Mit unseren Worten: “Die paar Mündelheimer sind nicht so wichtig, wie der ungehinderte Verkehrsdurchfluss!) StrassenNRW sinngemäß weiter: “ Dass die Linkseinbieger nach Breitscheid die Geradeausfahrer nach Mündelheim auf- halten, ist leider so. Ein besserer Abfluss würde nur durch die getrennte Spuren möglich sein, aber ginge aber zu Lasten der gesamten Leistungsfähigkeit, was StraßenNRW natürlich nicht will. Im Rahmen der jetzt geplanten Maßnahme wird aber ohnehin eine Optimierung der Grünzeitverteilung eingeplant, wovon alle Verkehrsströme profitieren würden. Außerdem ist die Aufstelllänge in unserem Vorschlag angedachten zusätzlichen Rechtsabbiegespur gerade mal für ein Schwerfahrzeug ausreichend, wodurch sich alle folgenden Fahrzeuge in die Geradeausspur zurückstauen würden.” (Auch hier gibt es Möglichkeiten: z.B: die Aufstelllänge durch Nutzung des wenig genutzen Gehweges zu ver- längeren und die Fußgänger über die beiden sowieso vorhandenen Ampel auf die andere Seite leiten!.. oder..... !
Wir wollen die Anbindung an den “Mannesmannacker” immer noch, auch wenn uns die offiziellen Stellen noch Anfang des Jahres eindringlich ver- sicherten, das “geht nur über den Bundesverkehrswegeplan!” Ein winzige Chance bestünde für ein verkürztes Verfahren, wenn die Finanzierung nicht durch Stadt, Land, Bund erfolgen muss, sondern “jemand anderes bezahlt?” Die ortsansässige Industrie unterstützt unsere Forderung einer Anbindung über den Mannesmannacker, aber finanzielle Zusagen “können nicht gemacht werden!” Trotzdem: 1. mit der Anbindung des “Mannesmannackers” würden fast 2600 LKWs nicht mehr über die Uerdinger Str. fahren! 2. mit der Anbindung des “Mannesmannackers” würden dann ca. 900 LKWs die Kreuzung B288 / Uerdinger Str. nicht mehr befahren! Wir wollen, die Verkehrswidrigkeiten durch Fehlverhalten aufgrund der baulichen Umstände (z.B. Tankstelle) nicht länger dulden! Wir wollen nicht auf die Aktion im Lärmaktionsplan warten, nämlich den Bau der Autobahn A524, wir brauchen schnell Abhilfe; unser Vorschlag: Reduzierung der Geschwindigkeit auf der B288 von 70 km/h auf 50 km/h !!! Aus den vielen Vorschlägen zur zeitnahen Verbesserung, die der Bürgerverein Mündelheim während der letzten Jahren machte, suchten sich jetzt die Stadt Duisburg und StraßenNRW gemeinsam eine Variante aus, die wir soooo nie gewollt haben: Die B288 von Breitscheid wird 2spurig über die Kreuzung geführt, d.h. die Rechtsabbiegerspur nach Ehingen ist dann auch Gerade- ausspur! Damit haben wir das Reißverschlußverfahren zwischen den Häusern in Mündelheim, wohl auch mehr Lärm und Umweltver- schmutzung und das Allerschlimmste, die Geschwindigkeit bleibt auf 70 km/h ! Die Mündelheimer müssen also wiedermal zum Wohle des über- regionalen Verkehrs leiden, wie zum Gemeinwohl bei der CO-Pipeline, zu den Windrädern, zum näher rückenden Deich und und und ......
Noch eine Anmerkung: Als wir vom Bürgerverein Mündelheim bei diesen Planungsgesprächen dabei sein wollten, wurde uns das verwehrt und nun sollen / können wir diesen Vorschlag aus Skizze 1 nur noch akzeptieren? Das ist keine Zusammenarbeit bzw. Berücksichtigung der Interessen der direkt Betroffenen! Wir Mündelheimer sind enttäuscht, mal wieder, denn wir sollen ständig zum Gemeinwohl bzw. anderen überregionalen Interessen z.B. die Deichrückverlegung, die CO-Pipeline, Windkraftanlagen, Fluglärm, Ver- kehrslärm, Feinstaub und andere Industriebelästigungen hinnehmen, aber wenn wir fordern ....!!!
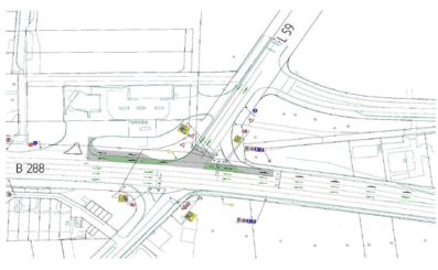
Skizze 2
Skizze 1
Unser Gegenvorschlag ( siehe unten Skizze 2) wurde von StraßenNRW mit dem sinngemäß wiedergegebenen Hinweis zurückgewiesen: “ ...... die Idee aus Skizze 1 ist schon zwischen der Stadt Duisburg und StraßenNRW ab- gestimmt, eine Rechtsabbiegespurin die B288 besteht bereits! Die Spur daneben ist als Gerade- und Linksabbiegespur ausgewiesen, was nach den bisherigen Verkehrszahlen auch sinnvoll sei, da in der Morgen- und auch in der Abendspitze der Rechtsabbiegestrom stärker ist. Die Auflösung der Geradeaus- und Linksabbiegeströme durch die Errichtung einer weiteren Spur führt nach Erachten von StraßenNRW zu keiner signifikanten Ver- besserung, da der Anteil der Geradeausfahrenden als gering eingeschätzt wird. Der Hauptanteil der Verkehrsteilnehmer fährt links in die B288 ein.” (Mit unseren Worten: “Die paar Mündelheimer sind nicht so wichtig, wie der ungehinderte Verkehrsdurchfluss!) StrassenNRW sinngemäß weiter: “ Dass die Linkseinbieger nach Breit- scheid die Geradeausfahrer nach Mündelheim aufhalten, ist leider so. Ein besserer Abfluss würde nur durch die getrennte Spuren möglich sein, aber ginge aber zu Lasten der gesamten Leistungsfähigkeit, was StraßenNRW natürlich nicht will. Im Rahmen der jetzt geplanten Maßnahme wird aber ohnehin eine Optimierung der Grünzeitverteilung eingeplant, wovon alle Verkehrsströme profitieren würden. Außerdem ist die Aufstelllänge in unserem Vorschlag angedachten zusätzlichen Rechtsabbiegespur gerade mal für ein Schwerfahrzeug ausreichend, wodurch sich alle folgenden Fahrzeuge in die Geradeausspur zurückstauen würden.” (Auch hier gibt es Möglichkeiten: z.B: die Aufstelllänge durch Nutzung des wenig genutzen Gehweges zu verlängeren und die Fußgänger über die beiden sowieso vorhandenen Ampel auf die andere Seite leiten!.. oder..... !
Wir wollen die Anbindung an den “Mannesmannacker” immer noch, auch wenn uns die offiziellen Stellen noch Anfang des Jahres eindringlich ver- sicherten, das “geht nur über den Bundesverkehrswegeplan!” Ein winzige Chance bestünde für ein verkürztes Verfahren, wenn die Finanzierung nicht durch Stadt, Land, Bund erfolgen muss, sondern “jemand anderes bezahlt?” Die ortsansässige Industrie unterstützt unsere Forderung einer Anbindung über den Mannesmannacker, aber finanzielle Zusagen “können nicht gemacht werden!” Trotzdem: 1. mit der Anbindung des “Mannesmannackers” würden fast 2600 LKWs nicht mehr über die Uerdinger Str. fahren! 2. mit der Anbindung des “Mannesmannackers” würden dann ca. 900 LKWs die Kreuzung B288 / Uerdinger Str. nicht mehr befahren! Wir wollen, die Verkehrswidrigkeiten durch Fehlverhalten aufgrund der baulichen Umstände (z.B. Tankstelle) nicht länger dulden! Wir wollen nicht auf die Aktion im Lärmaktionsplan warten, nämlich den Bau der Autobahn A524, wir brauchen schnell Abhilfe; unser Vorschlag: Reduzierung der Geschwindigkeit auf der B288 von 70 km/h auf 50 km/h !!! Aus den vielen Vorschlägen zur zeitnahen Verbesserung, die der Bürgerverein Mündelheim während der letzten Jahren machte, suchten sich jetzt die Stadt Duisburg und StraßenNRW gemeinsam eine Variante aus, die wir soooo nie gewollt haben: Die B288 von Breitscheid wird 2spurig über die Kreuzung geführt, d.h. die Rechtsabbiegerspur nach Ehingen ist dann auch Gerade- ausspur! Damit haben wir das Reißverschlußverfahren zwischen den Häusern in Mündelheim, wohl auch mehr Lärm und Umweltver- schmutzung und das Allerschlimmste, die Geschwindigkeit bleibt auf 70 km/h ! Die Mündelheimer müssen also wiedermal zum Wohle des über- regionalen Verkehrs leiden, wie zum Gemeinwohl bei der CO-Pipeline, zu den Windrädern, zum näher rückenden Deich und und und ......
Bürgerverein Mündelheim 1988 e.V.